Skip To Content

XX Sect-05 Twp-118 Range-026

Waverly, MN 55390
  • $475,000
  • STATUS: Contingent
  • ON SITE: 1212 Days
  • ID#: 6247748
UPDATED: 73 min ago
$475,000
  • 0
    BEDS
  • 34.73
    ACRES
  • 0
    BATHS
  • 0
    1/2 BATHS
Neighborhood:
Type:
Vacant Land / Lots
County:

School Ratings & Info

NorthstarMLS] logo Listing courtesy of Keller Williams Preferred Rlty.

Description

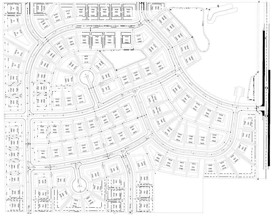
Great investment opportunity! This undeveloped land includes Sect-05 Twp-118 Range-026 SPRING MEADOWS 25.92 AC OUTLOT C AND 8.81 AC OUTLOT B, for a total of 34.73 ACRES. The two property IDs R116-037- 000030 and R116-037-000020 will be sold together. Spring Meadows preliminary plat was approved by the City of Waverly in 2005 and preliminary engineering drawings are available. Photos of the original plat and current status of the plat are included in the listing.

Monthly Payment Calculator



IDX data © 2025 Regional Multiple Listing Service of Minnesota, Inc. All rights reserved. The data relating to real estate for sale on this web site comes in part from the Broker Reciprocity℠ Program of the Regional Multiple Listing Service of Minnesota, Inc. Real estate listings held by brokerage firms other than V&CO | Keller Williams Integrity Edina are marked with the Broker Reciprocity℠ logo or the Broker Reciprocity℠ thumbnail logo (a little black house) and detailed information about them includes the name of the listing brokers. V&CO | Keller Williams Integrity Edina is not a Multiple Listing Service, nor does it offer MLS access. This website is a service of V&CO | Keller Williams Integrity Edina, a broker Participant of the Regional Multiple Listing Service of Minnesota, Inc. Information deemed reliable but not guaranteed. By viewing the listings on this site, you are agreeing to abide by the RMLS End-User License Agreement. Data last updated 2025-12-06T08:21:44.3.

Click here for Digital Millennium Copyright Act
www.vandcorealestate.com/homes/132055082
Print Image

XX Sect-05 Twp-118 Range-026 Waverly, MN 55390

  • Price: $475,000
  • Status: Contingent
  • On Site: 1212 Days
  • Updated: 73 min ago
  • ID#: 6247748
0
Beds
0
Baths
0
½ Baths
34.73
Acres
Neighborhood:
Spring Meadows
County:
Wright
School District:
2687 - Howard Lake-Waverly-Winst
Property Description
Great investment opportunity! This undeveloped land includes Sect-05 Twp-118 Range-026 SPRING MEADOWS 25.92 AC OUTLOT C AND 8.81 AC OUTLOT B, for a total of 34.73 ACRES. The two property IDs R116-037- 000030 and R116-037-000020 will be sold together. Spring Meadows preliminary plat was approved by the City of Waverly in 2005 and preliminary engineering drawings are available. Photos of the original plat and current status of the plat are included in the listing.
Exterior Features

Fencing None Lake Depth 0 Lot Size Dimensions 0 Program Acres Total 0.0000 Road Frontage Type City StreetCurbsPaved StreetsStreet LightsStorm Sewer Soil Type Loam Topography Rolling Waterfront Features Pond Waterfront YN No

Property Features

Additional Parcels YN Yes Assessment Pending No Association Fee 0 Association YN No Builder Restrict Open Contingency Other Development Status Raw Land Farm Type None Foreclosure Status No Fractional Ownership YN No Improvements None Inclusions AbstractEasementsPlattedTopographic Map Lake Acres 0 Lake Chain No Land Lease Amount 0 Land Lease YN No Lender Owned No Postal City Waverly Potential Short Sale No Rental License YN No Restrictions EasementsMinimum Lot SizeOther Covenants Road Responsibility Public Maintained Road Sale Options Sell Entirely Tax Annual Amount 3055 Tax With Assessments 3230.0000 Tax Year 2025 Utilities None ConnectedElectricity AvailableNatural Gas AvailableSewer AvailableStorm Sewer AvailableUnderground Utilities AvailableWater Available Zoning Description Residential-Single Family

NorthstarMLS] logo © 2025 Regional Multiple Listing Service of Minnesota, Inc. All rights reserved.
Listing courtesy of Keller Williams Preferred Rlty: . This home sale information is not an appraisal, competitive or comparative market analysis, CMA or home valuation. Listing broker has attempted to offer accurate data, but buyers are advised to confirm all items.


IDX data © 2025 Regional Multiple Listing Service of Minnesota, Inc. All rights reserved. The data relating to real estate for sale on this web site comes in part from the Broker Reciprocity℠ Program of the Regional Multiple Listing Service of Minnesota, Inc. Real estate listings held by brokerage firms other than V&CO | Keller Williams Integrity Edina are marked with the Broker Reciprocity℠ logo or the Broker Reciprocity℠ thumbnail logo (a little black house) and detailed information about them includes the name of the listing brokers. V&CO | Keller Williams Integrity Edina is not a Multiple Listing Service, nor does it offer MLS access. This website is a service of V&CO | Keller Williams Integrity Edina, a broker Participant of the Regional Multiple Listing Service of Minnesota, Inc. Information deemed reliable but not guaranteed. By viewing the listings on this site, you are agreeing to abide by the RMLS End-User License Agreement. Data last updated 2025-12-06T08:21:44.3.

Click here for Digital Millennium Copyright Act
 
https://bt-photos.global.ssl.fastly.net/northstar/orig_boomver_1_6247748-2.jpg https://bt-photos.global.ssl.fastly.net/northstar/orig_boomver_1_6247748-2.jpg https://bt-photos.global.ssl.fastly.net/northstar/orig_boomver_1_6247748-2.jpg
Logo
V&CO | Keller Williams Integrity Edina
7401 Metro Blvd. #350
Edina MN, 55439
NorthstarMLS] logo Listing courtesy of Keller Williams Preferred Rlty.